Kuriose Figur: Die Eichennetzwanze
Beitragsinhalt
In der Steiermark wurde sie erstmalig von einem früheren BFW-Mitarbeiter entdeckt. Nun ist sie im Burgenland, Niederösterreich und Wien zu finden. Wer ist sie?
Sie ist hell bräunlich glänzend gefärbt, ihre fast durchsichtigen Flügel sind netzartig strukturiert. Ihre Größe schwankt zwischen drei und vier Millimeter: keine gute Voraussetzung, lange Distanzen zu überwinden. Sie hat es dennoch geschafft. Als Trittbrettfahrerin von diversen Verkehrsmitteln ist sie entlang von Straßen, Rastplätzen, Tankstellen, Betrieben und touristischen Plätzen zu finden. Diese so genannten Satellitenpopulationen können sich in unbefallenen Gebieten rasch etablieren und lokal ausbreiten. Der menschliche Siedlungsraum spielt für ihre Ausbreitung also eine bedeutende Rolle. Und Corythucha arcuata kommt mittlerweile in ganz Mitteleuropa vor. Neue Nachweise gibt es nun im Norden und Osten Österreichs sowie im Süden der Tschechischen Republik. In diesen Gebieten hat sich diese invasive Insektenart fest etabliert und sorgt für sichtbare Schädigung der betroffenen Eichen. Warum ist die Eichennetzwanze invasiv, also problematisch für unser Ökosystem?
Verringerte Photosynthese
Die ausgewachsenen Eichennetzwanzen und die Larven ernähren sich vom Pflanzensaft des Laubes. Nach einem Befall vergilben und vertrocknen die Blätter daher vorzeitig. Das kann einerseits langfristig physiologische Auswirkungen haben, andererseits schaut der Baum – ähnlich wie zum Beispiel bei der weißblühenden Rosskastanie durch die Kastanienminiermotte – unschön aus. Das ist vor allem im Stadtgebiet oder Gärten, wo Bäume auch unter gestalterischen Aspekten ausgewählt werden, relevant.

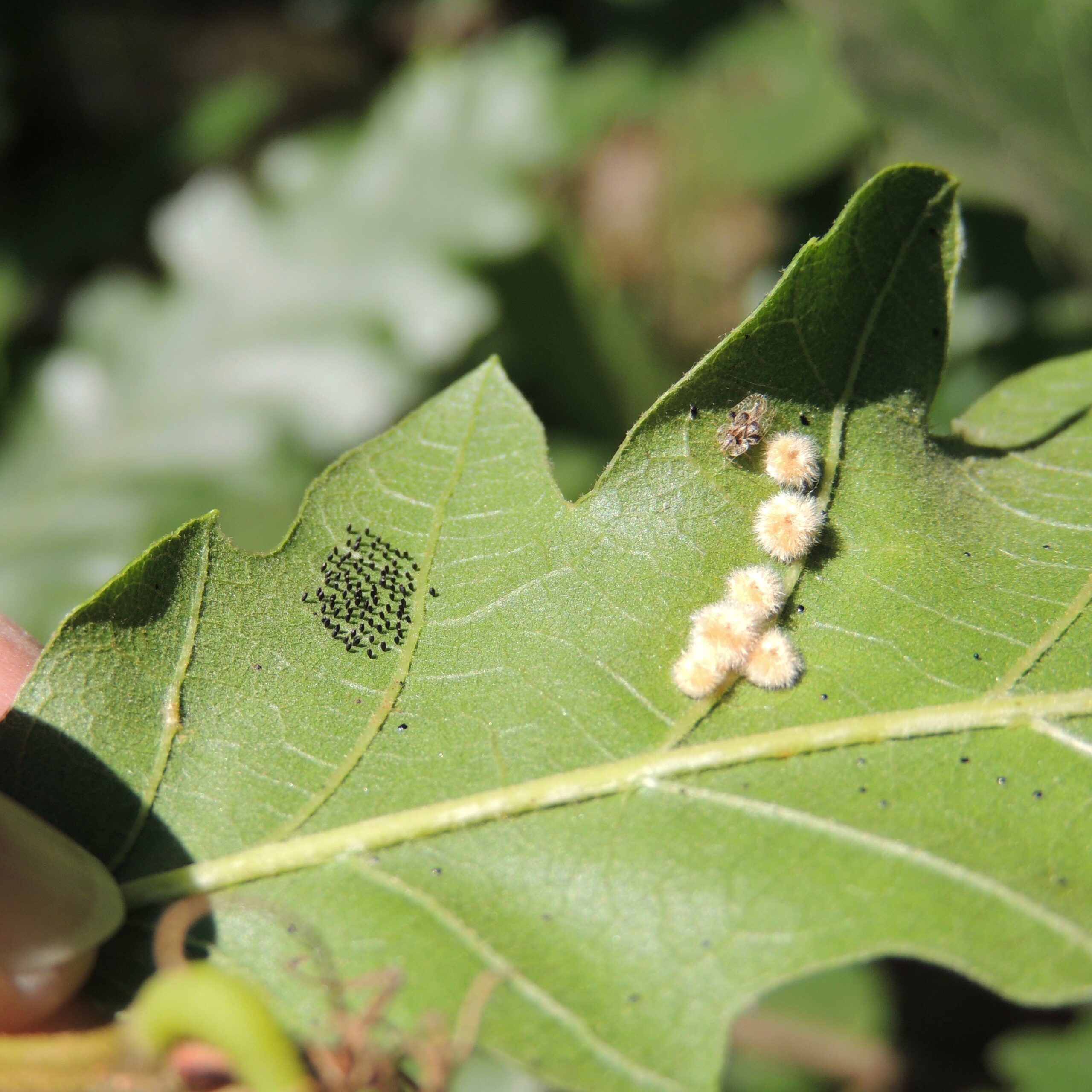
Einen Befall an Eichenarten erkennt man an den Eigelegen, den Nymphenstadien und deren Kottröpfchen, allesamt auf der Blattunterseite. „Tatsächlich konnte von Kolleginnen und Kollegen in Serbien gezeigt werden, dass es zu einer Beeinträchtigung der Photosynthese kommt und auch die Stickstoffkonzentration in befallenen Blättern ist signifikant verringert“, erklärt Gernot Hoch, Leiter des BFW-Instituts für Waldschutz. Und weiter: „Trotz dieser messbaren Beeinträchtigungen wurde aber bislang noch keine eindeutige Auswirkung auf den Zuwachs der Eichen nachgewiesen. Allerdings gibt es Hinweise, dass die Samenproduktion beeinträchtigt ist. Darüber hinaus könnte eine über mehrere Jahre andauernde Schädigung des Eichenlaubs negative Auswirkungen auf andere Arten haben, die spezialisiert an Eichenblättern fressen“.
Die schlechte Nachricht
Bis dato stehen keine Gegenmaßnahmen zur Verfügung, um eine Ausbreitung zu stoppen. Künftige Gegenmaßnahmen können nur auf die Milderung negativer Wirkungen abzielen. Langfristig sind es Mischwälder, die sich dämpfend auf den Befall auswirken. Also keine schnelle Lösung in Sicht. Aus ökonomischen und ökologischen Gründen halten Fachleute eine chemische Bekämpfung für nicht zielführend.
Im Forstschutz Aktuell sind weitere Informationen über die Eichennetzwanze und andere für Bäume problematische Organismen ausführlich beschrieben. Erhältlich unter https://shop.bfw.ac.at/.